nieuws
Foto: Rijkswaterstaat via Groningen Bereikbaar
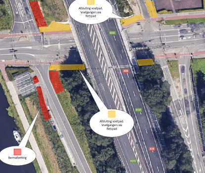
Het voetpad onder het A28-viaduct is van maandag 7 april 07.00 uur tot en met vrijdag 11 april 17.00 uur niet begaanbaar. Het pad wordt afgesloten vanwege de aanleg van kabels bij de nabijgelegen bushaltes.
Voetgangers wordt gevraagd om gebruik te maken van het naastgelegen fietspad. Dit betekent dat fietsers en wandelaars dit pad voor vijf dagen moeten delen.
Hieronder ziet u een kaartje van de geplande werkzaamheden:
